Identify by color Common name index Scientific name index Taxonomy index

Coreopsis tripteris

Common name: Tall coreopsis


Coreopsis tripteris
Coreopsis tripteris


Wildflower Information for Coreopsis tripteris
Common name(s) Tall coreopsis
Family Asteraceae (Aster family)
Flowers color: yellow   petals: many
Leaves opposite
Lifecycle perennial
Peak bloom period July
Origin native

Coreopsis tripteris
Coreopsis tripteris

Coreopsis tripteris
Coreopsis tripteris

Coreopsis tripteris
Coreopsis tripteris

Coreopsis tripteris
Coreopsis tripteris

Coreopsis tripteris - involucral bracts
Coreopsis tripteris - involucral bracts

Coreopsis tripteris - leaves
Coreopsis tripteris - leaves

Coreopsis tripteris - leaves
Coreopsis tripteris - leaves

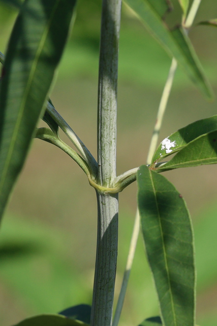
Coreopsis tripteris - stem
Coreopsis tripteris - stem

Coreopsis tripteris - stem
Coreopsis tripteris - stem

Coreopsis tripteris - stem
Coreopsis tripteris - stem

Coreopsis tripteris - plants
Coreopsis tripteris - plants

Coreopsis tripteris - plants
Coreopsis tripteris - plants

Coreopsis tripteris - plants
Coreopsis tripteris - plants