| Wildflower Information for Acalypha virginica | |
|---|---|
| Common name(s) | Virginia three-seeded mercury |
| Family | Euphorbiaceae (Spurge family) |
| Flowers | color: green petals: irregular |
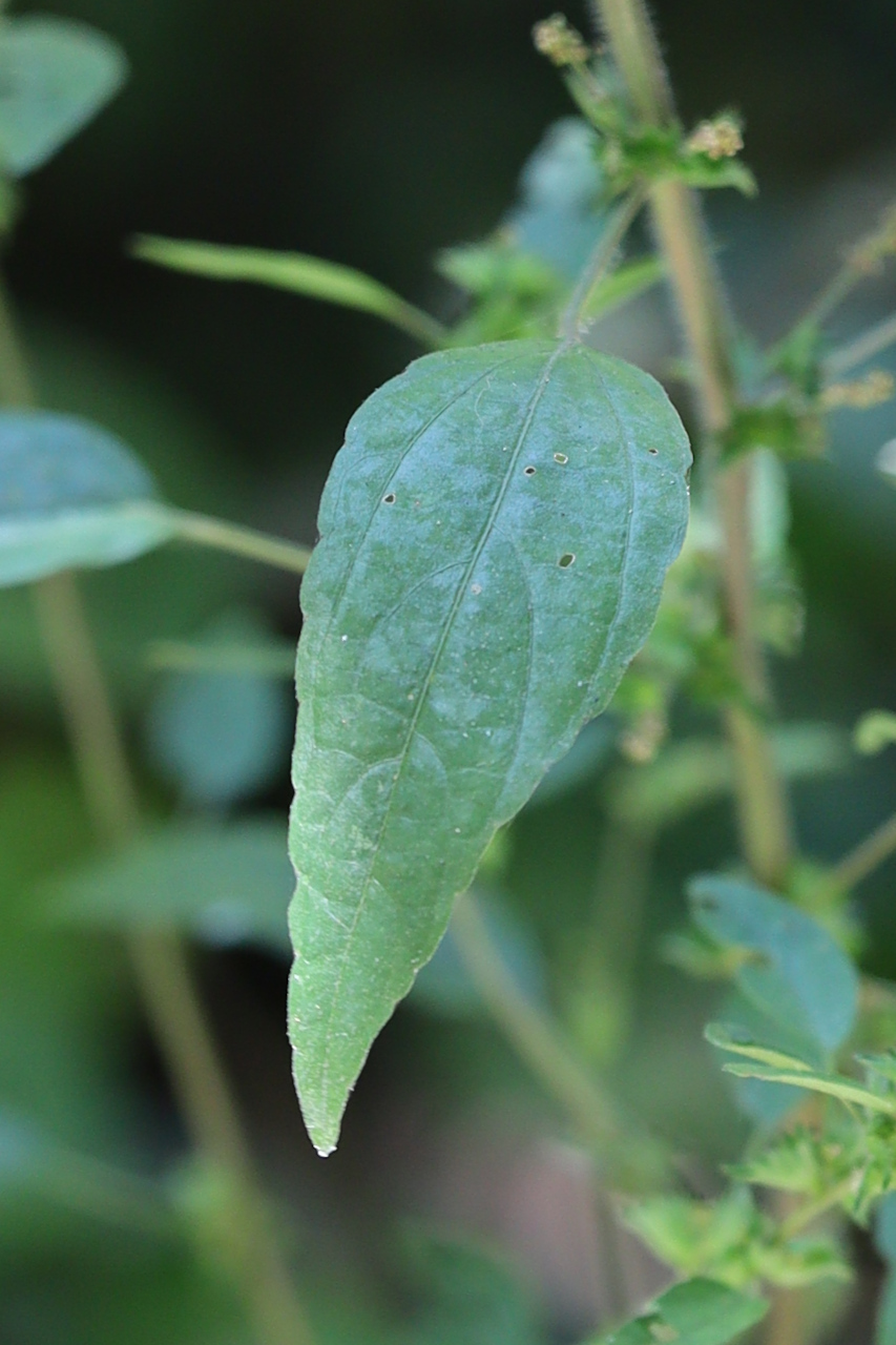
| Leaves | alternate |
| Lifecycle | annual |
| Peak bloom period | September |
| Origin | native |
Wildflowers of the National Capital Region
Discovering wildflowers in Maryland, Washington D.C., and Northern Virginia
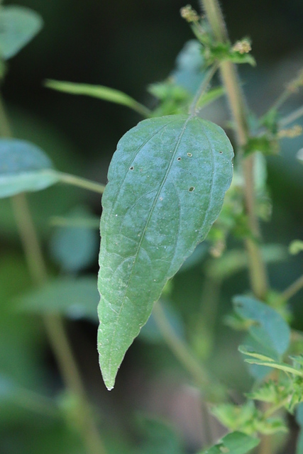
Common name: Virginia three-seeded mercury
| Wildflower Information for Acalypha virginica | |
|---|---|
| Common name(s) | Virginia three-seeded mercury |
| Family | Euphorbiaceae (Spurge family) |
| Flowers | color: green petals: irregular |
| Leaves | alternate |
| Lifecycle | annual |
| Peak bloom period | September |
| Origin | native |